CHÀO GIÁ MỚI NHĨNH 8₫ - NHÀ KHU K82 TÔ KÝ, TRUNG MỸ TÂY (TÂN CHÁNH HIỆP CŨ), Q12
Chủ đề: Nhà mặt phố.
Phường/Xã: Trung Mỹ Tây.
Quận/Huyện: Quận 12.
Tỉnh/TP: Tp. Hồ Chí Minh.
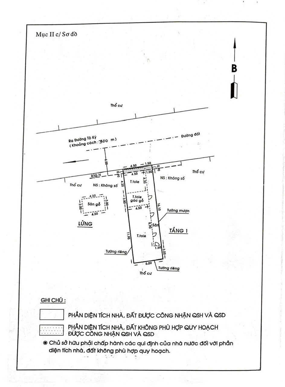
Diện tích: 120 m².
Giá: 8.6 Tỷ.
Thông tin mô tả
CHÀO GIÁ MỚI NHĨNH 8₫ - BÁN NHÀ PHƯỜNG TRUNG MỸ TÂY (TÂN CHÁNH HIỆP CŨ) – QUẬN 12
Vị trí siêu đắc địa:
Ngay chợ Tân Chánh Hiệp, đối diện chung cư Tô Ký, hồ bơi Tô Ký, khu K82 vip nhất phường, đường rộng 8m có vỉa hè hai bên, thông thoáng – khu dân cư sầm uất, tiện kinh doanh mọi ngành nghề.
DT: (6m x 20m), Sổ hồng riêng chính chủ công chứng ngay. Hỗ trợ vay bank nếu khách có nhu cầu.
Nhà đẹp, khu đồng bộ, pháp lý chuẩn
Giá: 8.6 tỷ (TL)
Liên hệ: Ms Mỹ - 0909.805.456
Cơ hội sở hữu vị trí vàng trung tâm Quận 12 – nơi hiếm nhà bán!
Loại tin đăng Tin miễn phí
Mã số tin 347207
Ngày đăng 16-11-2025
Ngày hết hạn 25-11-2025
Địa chỉ bất động sản Đường Tô Ký, Trung Mỹ Tây
Diện tích 120 m²
Tên liên hệ Nguyễn Hoàng Bảo Châu
Điện thoại 0377779327
Email nhagiatotq12@gmail.com
Xem bản đồ
Các bất động sản khác
Lô đôi 10m mặt tiền Điện Biên Phủ -200m-Thanh Khê- Giá chỉ 27 tỷ.
- Mã số tin236571
- Diện tích200 m²
- Vị tríđang cập nhật
- Giá27 Tỷ
Bán Khách Sạn Vip -Phố tây An Thượng -Ngũ Hành Sơn -Giá chỉ 49,5 tỷ
- Mã số tin233989
- Diện tích162 m²
- Vị tríđang cập nhật
- Giá49.5 Tỷ
Mặt tiền Lô góc Ngô Quyền - Sơn Tra- Giá chỉ 7,3 tỷ.
- Mã số tin233086
- Diện tích77 m²
- Vị tríđang cập nhật
- Giá7.3 Tỷ
Nhà phố tây ninh sổ riêng từng căn – không chung chạ nhà 1 trệt 1 lầu, hoàn tiện 100% đường rộng,
- Mã số tin347232
- Diện tích99 m²
- Vị tríđang cập nhật
- Giá1.7 Tỷ
Bán nhà mặt tiền kinh doanh giáp vòng xoay nguyễn đức cảnh & hoàng diệu khu phước long.
- Mã số tin347227
- Diện tích145 m²
- Vị tríđang cập nhật
- Giá14.6 Tỷ
Bán nhà mặt tiền 70x37m giá 45 tỷ đường quốc lộ 1a
- Mã số tin344583
- Diện tíchĐang cập nhật
- Vị tríđang cập nhật
- Giá45 Tỷ
Bán nhà 4 tầng 5x20m giá 10,2 tỷ đường nguyễn ảnh thủ
- Mã số tin344858
- Diện tích100 m²
- Vị tríđang cập nhật
- Giá10.2 Tỷ
Bán nhà mặt tiền 25x42m giá 80 tỷ đường lê thị riêng
- Mã số tin345239
- Diện tích1000 m²
- Vị tríđang cập nhật
- Giá80 Tỷ
Nhà mặt tiền cầu xây 2 đường đẹp lộ giới 12m trung tâm thủ đức, tphcm
- Mã số tin347216
- Diện tích185 m²
- Vị tríđang cập nhật
- Giá10.8 Tỷ
Bán nhà mặt tiền 10x45m giá 14,5 tỷ đường tân thới hiệp 14
- Mã số tin347214
- Diện tích450 m²
- Vị tríđang cập nhật
- Giá14.5 Tỷ
Bán nhà khu tái định cư ngọc thuỵ, 58m x 7 tầng, vỉa hè, mặt đường 12m, kinh doanh, full nội thất
- Mã số tin347202
- Diện tích58 m²
- Vị tríđang cập nhật
- Giá25.7 Tỷ
Bán nhà 3 tầng trung tâm tp nha trang – mặt tiền đẹp – full nội thất
- Mã số tin347188
- Diện tích76 m²
- Vị tríđang cập nhật
- Giá15.5 Tỷ
Bán nhà 3 tầng trung tâm tp nha trang – mặt tiền đẹp – full nội thất
- Mã số tin347186
- Diện tích76 m²
- Vị tríđang cập nhật
- Giá15.5 Tỷ
Nhà + kho (8x63) dtsd 500m² đường 6m thông bùi công trừng – nhị bình 6, hóc môn
- Mã số tin347184
- Diện tích383 m²
- Vị tríđang cập nhật
- Giá7.7 Tỷ
Nhà phố tây ninh vị trí đẹp – giá mềm – pháp lý rõ ràng. cách cổng kcn vài phút di chuyển. khu
- Mã số tin347182
- Diện tích99 m²
- Vị tríđang cập nhật
- Giá1.7 Tỷ






